If you’re planning construction in Utah, you’ll likely need a site plan prepared by a licensed civil engineer. A site plan is an engineered drawing that shows how your property will be developed — including grading, drainage, utilities, and access — and most Utah cities require it before any building permit can be issued.
At Anderson Engineering, we design approval-ready site plans that meet every zoning, stormwater, and building code requirement. You’ll work directly with a principal engineer who knows your city’s reviewers and ensures your project moves forward without delay.
When Do You Need a Site Plan from a Licensed Engineer in Utah?
Most Utah municipalities — including Salt Lake City, Lehi, Provo, Draper, and Saratoga Springs — require an engineered site plan for any new development or modification that affects grading, drainage, or utilities.
You’ll need a professional civil engineer when your project involves:
- New residential or commercial construction
- Additions, renovations, or accessory structures (such as ADUs or garages)
- Grading or drainage changes that alter existing slopes
- Parking lot expansions or reconditioned access points
- Easement adjustments or new utility connections
- Projects within flood or stormwater management zones
Fact: Many Utah cities use digital permit systems like Cityworks, EnerGov, or eTRAKiT. Submittals that lack an engineer’s stamp or stormwater report are often rejected automatically.
Site Plan Requirements by Project Type
| Project Type | Site Plan Required | Typical Engineering Services | Common Reviewer | Notes |
|---|---|---|---|---|
| New Commercial Construction | ✅ Yes | Grading, Drainage, Utilities, Stormwater | City Engineering Dept. | A full engineered plan is required before a building permit |
| Residential Addition / Renovation | ⚙️ Sometimes | Drainage, Easement Verification | City Building Dept. | Depends on slope or lot coverage |
| ADU / Secondary Unit | ✅ Yes | Site Layout, Utility Tie-ins | Zoning Dept. | Must show parking and access |
| Parking Lot Expansion | ✅ Yes | Grading, Stormwater Detention | City Engineering | Typically reviewed for impervious area increase |
| Subdivision / Lot Split | ✅ Yes | Full Civil Design | County Engineering | Plat and infrastructure review required |
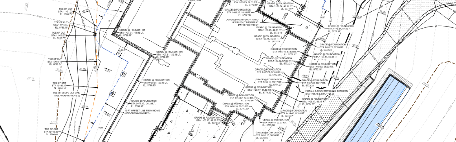
What’s Included in a Professional Site Plan Design
A complete site plan is both a map and a technical document demonstrating that your project is buildable, compliant, and safe. Each Anderson Engineering plan includes:
- Topography and Boundary Mapping – Field survey or GIS-based elevation data for accurate grading.
- Grading and Drainage Design – Engineered slopes and stormwater retention per Utah Division of Water Quality (DWQ) standards.
- Utility and Easement Layout – Water, sewer, and storm systems aligned with city and infrastructure requirements.
- Access and Circulation – Driveways, ADA slopes, and parking layouts verified against building code.
- Landscape and Site Planning – Integration of grading and landscape design for stormwater and erosion control.
- Erosion & Sediment Control (SWPPP) – Prepared per Utah Department of Environmental Quality (DEQ) specifications.
Each plan is stamped by a Utah Professional Engineer (P.E.) and is ready for direct permit submission.

What’s Included in a Professional Site Plan
| Component | Description | Why It Matters |
|---|---|---|
| Grading Plan | Shows contours, slopes, and cut/fill areas | Ensures proper drainage and slope stability |
| Drainage Plan | Routes stormwater to retention or detention areas | Prevents flooding and erosion |
| Utility Layout | Displays water, sewer, and storm connections | Verifies service access and avoids conflicts |
| Access & Circulation | Driveway, sidewalk, ADA, and parking layout | Ensures safe traffic movement and compliance |
| Landscape Coordination | Aligns grading with landscape features | Supports stormwater filtration and site appearance |
| SWPPP | Sediment and erosion control plan | Required by Utah DEQ for compliance |
Common Site Plan Issues in Utah Projects
Our engineers regularly help clients resolve common site development issues that delay approvals:
- Incomplete drainage or stormwater calculations
- Inaccurate topography data from outdated surveys
- Missing easements or utility conflicts
- Grading slopes that exceed building code limits
- Omitted SWPPP or flood documentation required by reviewers
We identify and correct these problems early — before they cost time or money.
How We Prepare and Submit Your Site Plan for Permit Approval
Fact: Site plan review times in Utah typically range from 2–4 weeks, depending on the city’s workload and the completeness of the submittal.
Our proven process helps you move efficiently from concept to permit:
- Schedule a Free Consultation – We review your property, zoning, and city requirements.
- Site Evaluation & Base Mapping – We compile topographic and utility data for design.
- Engineering & Site Design – We create grading, drainage, and stormwater systems that meet Utah standards.
- Permit Submittal & Review – We manage comments through platforms like Cityworks and EnerGov until approval.
- Construction Support – We remain engaged to provide design clarification or updates during construction.
Site Plan Review Checklist
| Checklist Item | Description | Verified By |
|---|---|---|
| Property boundary survey complete | Establishes limits of design | Licensed Land Surveyor |
| Grading and drainage design finalized | Defines elevations and flow direction | Civil Engineer |
| Utility connections shown | Ensures tie-ins meet city standards | Utility Company / City Engineer |
| Erosion control plan attached | Required by Utah DEQ | Engineer / Contractor |
| Plan stamped and signed | Confirms professional oversight | Utah PE |
| Electronic submittal uploaded | Required for most cities | Applicant / Engineer |
Local Expertise That Accelerates Approvals
Anderson Engineering has delivered hundreds of engineered site plans across the Wasatch Front — from Ogden to Spanish Fork — supporting both private real estate developments and public infrastructure improvements.
We work regularly with planning and engineering departments in:
- Salt Lake County
- Utah County
- Davis County
- Weber County
- Summit and Wasatch Counties
Utah City/County Review Process Comparison
| Jurisdiction | Average Review Time | Common Comments |
|---|---|---|
| Salt Lake City | 3–4 weeks | Stormwater detention details |
| Lehi City | 2–3 weeks | Driveway slope verification |
| Provo | 2–4 weeks | Utility conflicts |
| Draper | 3–5 weeks | Erosion control and grading notes |
| Saratoga Springs | 2–3 weeks | Drainage report edits |
Why Hire a Utah Engineer Instead of a Draftsman
Draftsmen can illustrate layouts, but Utah municipalities require a licensed civil engineer to stamp and verify technical components — including drainage, grading, easements, and stormwater systems. Hiring Anderson Engineering ensures your project complies with the Utah Building Code, International Building Code (IBC), and Utah DEQ design criteria.
Typical Site Plan Cost Ranges in Utah
(General reference — actual costs vary by scope and location.)
| Project Type | Typical Fee Range |
|---|---|
| Single-Family Lot | $1,800 – $3,500 |
| Commercial Lot (1–2 acres) | $3,500 – $6,500 |
| Multi-Family Development | $25,000 – $50,000 |
| Industrial Site | $25,000 – $50,000+ |
| Subdivision / Plat | $25,000 – $150,000+ |
Why Clients Choose Anderson Engineering
- Principal-Led Oversight: Every project is led by a licensed civil engineer.
- Local Collaboration: We communicate directly with reviewers and inspectors across Utah.
- Comprehensive Design: From grading plans to stormwater management, we cover all technical details.
- Responsiveness: We answer calls, return comments, and keep your project moving.
Let’s Review Your Site Plan Together
Your site design is the foundation of your project’s success. Whether you’re planning new construction, a renovation, or a real estate development, Anderson Engineering delivers permit-ready site plans that comply with Utah’s zoning, building code, and stormwater regulations.
📞 Call 801-396-7575 or visit andersoneng.com to schedule your consultation. You’ll speak directly with a Utah engineer who knows your city’s reviewers and can help get your site plan approved faster.
Disclaimer:
Anderson Engineering developed this article with the support of a large language model (LLM) to enhance clarity and accessibility. While every effort has been made to ensure accuracy, the content is provided for general informational purposes only. It should not be used as a substitute for professional engineering judgment or regulatory guidance. Project-specific decisions should always be made in consultation with a licensed professional engineer.
